快訊/周三颱風假定了,5縣市明達停班課標準

2025-09-23     唐園秀     反饋

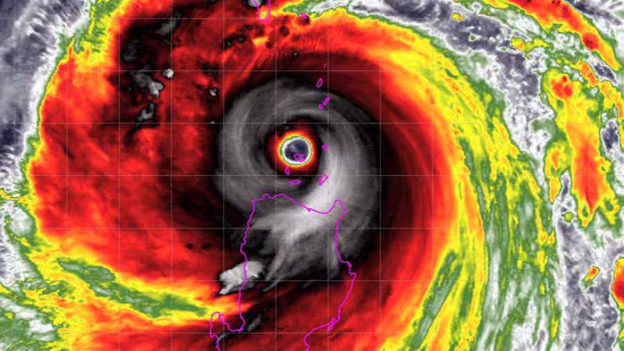
樺加沙陸上颱風警報已解除,但外圍環流仍影響台灣,氣象署也針對14縣市發布超大豪雨警報,根據中央氣象署今天上午10時最新風雨預報,預測明天共5縣市風力雨量達停班課標準。不過是否停班停課仍待各縣市政府決定。

根據中央氣象署最新發布的颱風資訊,強台「樺加沙」已逐漸遠離台灣,屏東地區已脫離其暴風圈,陸上颱風警報預計於23日8時30分解除,不過東半部、南部地區仍須留意豪大雨。

根據中央氣象署今天上午10時最新風雨預報,新北市濱海鄉鎮風力預報達停班課標準;花蓮縣山區、台東縣山區、高雄市山區、屏東縣山區雨量預報達停班課標準。

依天然災害停止上班及上課作業辦法規定,停班停課標準為颱風暴風半徑於4小時內可能經過地區,其平均風力可達7級以上或陣風可達10級以上時,或未來24小時累積雨量預測達山區200毫米及平地350毫米(台南、屏東及花蓮不分平地、山區均為350毫米),且已致災或有致災之虞時,才可依據氣象預報或實際觀測發布停止上班及上課。

劉奇奇 • 2K次觀看
劉奇奇 • 2K次觀看
劉奇奇 • 680次觀看
武巧輝 • 1K次觀看
武巧輝 • 910次觀看
劉奇奇 • 620次觀看
劉奇奇 • 1K次觀看
劉奇奇 • 2K次觀看
劉奇奇 • 950次觀看
劉奇奇 • 490次觀看
劉奇奇 • 830次觀看
武巧輝 • 2K次觀看
劉奇奇 • 710次觀看
武巧輝 • 620次觀看
劉奇奇 • 4K次觀看
武巧輝 • 570次觀看
劉奇奇 • 2K次觀看
武巧輝 • 570次觀看
劉奇奇 • 480次觀看
武巧輝 • 840次觀看
劉奇奇 • 990次觀看
大炮仙 • 1K次觀看
武巧輝 • 560次觀看
武巧輝 • 770次觀看